Wednesday, February 25, 2026
Trang chủGóc nhìn mớiSiêu bão Haiyan và lời nhắc nhở về trách nhiệm con người...

Siêu bão Haiyan và lời nhắc nhở về trách nhiệm con người trước biến đổi khí hậu

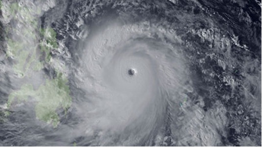
BienDong.Net: Mùa bão năm nay ở phía tây Thái Bình Dương đã ghi nhận một siêu bão với tên quốc tế Haiyan (Hải Yến) có sức gió lên tới khoảng 315 km/h với những cơn gió giật mạnh đến 380 km/h.

Haiyan tàn phá một vùng rộng lớn ở Philippines với hàng ngàn người thiệt mạng và gây nên cuộc báo động và sơ tán dân tránh bão lớn nhất ở Việt Nam từ trước tới nay.

LiveScience dẫn lời chuyên gia thời tiết nhiệt đới Brian McNoldy thuộc Trường đại học Miami của Mỹ nhận định Haiyan quá mạnh vì nó hội đủ mọi điều kiện.

 

Tâm của siêu bão Haiyan. Ảnh do Cơ quan Khí tượng thủy văn Nhật chụp

Thứ nhất, theo ông McNoldy, nó hình thành trên vùng đại dương mở, không có vùng đất liền lớn để ngăn chặn nó hình thành một hình vòng xoáy đối xứng, yếu tố giúp một cơn gió xoáy hình thành và tiếp thêm hơi nước.

Thứ hai, nhiệt độ đại dương ấm trên 30 độ C, nước ấm lan sâu xuống đại dương, điều này có nghĩa là hiện tượng nước trồi (upwelling) gây ra bởi gió không làm khuấy lên nước lạnh có thể giúp làm yếu đi sức mạnh gió xoáy. Bão nhiệt đới cơ bản là những cỗ máy nhiệt khổng lồ, được tiếp sức bằng việc chuyển tiếp sức nóng từ đại dương lên khí quyển tầng cao.

Thứ ba, ở thời điểm này có rất ít gió giật (wind shear) ở khu vực này, theo ông McNoldy. Wind shear giúp phá một cơn bão đang hình thành và ngăn cơn bão mạnh thêm.

Theo Colin Price, trưởng Khoa khoa học địa lý, khí quyển và hành tinh của trường đại học Tel Aviv, Israel, Haiyan là một cơn bão lạ không chỉ về sức mạnh của nó mà nó còn hình thành rất muộn vì thông thường mùa bão chấm dứt trong tháng 11. Người ta cũng ghi nhận rằng trong những thập kỉ qua mức độ khốc liệt của các cơn bão đang tăng lên trong đó Haiyan được đánh giá là cơn bão lớn nhất trong lịch sử xuất hiện trên Biển Đông.

Siêu bão: Biến đổi khí hậu là nguyên nhân chính?

Bàn về nguyên nhân những trận cuồng phong ngày càng dữ dội, báo Pháp Libération ngày 11.11 cho rằng, có nhiều dấu hiệu cho thấy có sự liên hệ giữa số vụ thiên tai gia tăng và hiện tượng nóng lên trên toàn cầu.

Theo giải thích của Phó Giám đốc nhóm chuyên gia liên chính phủ về khí hậu, ông Jean Jouzel, trong vòng ba thập gần đây, các trận thiên tai từ hiện tượng vòi rồng cho đến lũ lụt, liên tục xảy ra với một nhịp độ chưa từng thấy. Một nghiên cứu do nhà bảo hiểm Munich Re công bố năm 2012 cho thấy, trong cùng giai đoạn, số lượng thảm họa tăng gấp 5 lần tại Bắc Mỹ; gấp 4 lần tại Châu Á; 2,5 lần tại Châu Phi, 2 lần tại Châu Âu và 1,5 lần tại Nam Mỹ. Một chỉ số khác cho thấy có một mối liên hệ chung, đó là cường độ các trận bão và cuồng phong thường có liên quan đến nhiệt độ đại dương.

Libération còn trích một nghiên cứu của nhà khoa học Đan Mạch, quan sát các dữ liệu có được về nhiệt độ của Đại Tây Dương từ năm 1923 với những giai đoạn giông bão, kết quả cho thấy «trung bình những năm nóng được đánh dấu bằng những cơn bão mạnh hơn những năm lạnh, cho dù đó là loại bão nào ».

Trong khi đó, theo kết luận của Văn phòng phân tích nguy cơ Maplecroft (Anh) công bố ngày 30 – 10, có khoảng 67 quốc gia, với sản lượng hàng hóa lên tới gần 44.000 tỉ USD, sẽ hứng chịu hậu quả các hiện tượng khắc nghiệt của thời tiết như bão, ngập lụt, hạn hán, nước biển dâng cao…

Báo Pháp Le Monde cho biết Maplecroft đã nghiên cứu tình hình tác động của biến đổi khí hậu ở 193 nước cũng như những ảnh hưởng của thiên tai lên đời sống người dân: sức khỏe, giáo dục, nông nghiệp, cơ sở hạ tầng, theo đó danh sách mười nước nghèo phải hứng chịu thiên tai được Maplecroft công bố chủ yếu là ở Châu Phi và Châu Á như Bangladesh, Sudan, Nigeria, CHDC Congo, Campuchia, Philippines…

Ngoài ra, Maplecroft cũng liệt kê danh sách một số nước có nền kinh tế quan trọng và tăng trưởng nhanh bị ảnh hưởng không kém, theo đó, Ấn Độ, Pakistan và Việt Nam được xếp vào danh sách các nước có “nguy cơ cực kì cao”. Riêng Indonesia, Thái Lan, Trung Quốc nằm trong danh sách “nguy cơ cao”.

IPCC: chính con người làm trái đất ấm nóng lên

Trong khi vì những lí do khác nhau, một số nhóm đã không dám chỉ rõ nguyên nhân thực sự góp phần gây biến đổi khí hâu, hồi tháng 9.2013, Nhóm làm việc thứ nhất của Ủy ban Liên chính phủ về Biến đổi Khí hậu – IPCC, họp tại Stockkholm, Thụy Điển đã công bố báo cáo chỉ ra rằng tác động của con người đối với khí hậu Trái đất là rõ ràng.

Các nhà khoa học tham gia soạn thảo báo cáo của Nhóm làm việc thứ nhất nâng mức hết sức chắc chắn hay 95% về thủ phạm con người khiến cho Trái đất ấm nóng lên kể từ giữa thế kỷ thứ 20 cho đến nay mà nguyên nhân dẫn đầu là việc con người sử dụng nhiên liệu hóa thạch. Báo cáo lần thứ tư của IPCC hồi năm 2007 chỉ nêu tỷ lệ chắc chắn ở mức 90% và trước đó vào năm 2001 là chỉ 66% mà thôi.

Những dự báo về tình trạng biến đổi khí hậu mà Nhóm làm việc thứ nhất nêu ra trong báo cáo mới công bố được dựa trên những kịch bản mới về lượng khí thải gây hại. Kịch bản lạc quan nhất dự báo nhiệt độ Trái đất tăng thêm lên là chỉ 1 độ C vào năm 2100 so với mức năm 2000. Đây là kịch bản duy nhất có thể đáp ứng mục tiêu tăng 2 độ C mà Liên hiệp quốc đưa ra. Tuy nhiên kịch bản xấu nhất về tăng nhiệt độ Trái đất là cao nhất đến 4,8 độ C vào cuối thế kỷ này.

alt 

Bão Haiyan gieo rắc chết chóc và đổ nát ở Philippines

Mực nước biển cũng có khả năng tăng từ 26 cm đến 82 cm vào cuối thế kỷ 21. Với kịch bản xấu nhất thì mực nước biển vào năm 2100 có thể tăng lên 98cm. (lưu ý trong thế kỉ 19 mực nước biển chỉ tăng 19 cm).

Báo cáo mới công bố nói rõ là khi mà các loại khí gây hiệu ứng nhà kính tích tụ trong bầu khí quyển của Trái đất thì những đợt nóng, lũ lụt, hạn hán và mực nước biển dâng lên là hiện tượng chắc chắn phải xảy ra.

Lời nhắc nhở

Thời điếm bão Haiyan tan tình cờ trùng hợp với hội nghị thường niên về khí hậu toàn cầu (COP19) họp tại Varsava (từ 11 đến 22/11). Nó như một lời nhắc nhở về tác động của biến đổi khí hậu đối với trái đất khi các nhà khoa học cảnh báo rằng nhân loại còn rất ít cơ hội để giữ nhiệt độ Trái Đất không tăng thêm quá 2°C, yếu tố có thể giúp ngăn chặn một thảm họa khủng khiếp về môi trường.

Theo báo cáo thường niên của Chương trình Môi trường LHQ (UNEP) công bố trước hội nghị tại Varsava, nếu cứ diễn biến như hiện nay, lượng khí thải gây hiệu ứng nhà kính (GES) sẽ đạt mức 59 tỷ tấn, cao hơn từ 8 đến 12 tỷ tấn, so với mục tiêu dự kiến vào thời điểm 2020.

Giám đốc điều hành của Chương trình Môi trường LHQ Achim Steiner bình luận: “Thách thức hiện nay của chúng ta không phải là vấn đề kỹ thuật, mà là (quyết tâm) chính trị”. Ông nhấn mạnh việc tiếp tục xu thế phát triển phụ thuộc vào các cơ sở hạ tầng sử dụng nhiều năng lượng hóa thạch, sẽ kìm lại việc đưa vào sử dụng các công nghệ xanh, làm giảm khả năng lựa chọn một mô hình phát triển bền vững.

Hội nghị Varsava là một dịp hết sức quan trọng, nơi đại diện 190 quốc gia tiếp tục các cuộc đàm phán để đi đến một thỏa thuận toàn cầu về hạn chế biến đổi khí hậu vào năm 2015, chính thức có hiệu lực từ năm 2020.

Trả lời AFP, ông Oliver Geden, một chuyên gia tại Viện nghiên cứu Đức về khoa học và chính trị (SWP) nhận xét: “Từ năm này qua năm khác, mục tiêu giữ nhiệt độ không tăng quá 2°C ngày càng trở nên xa vời. Lượng khí phát thải gây hiệu ứng nhà kính tăng lên liên tục, trong khi đáng lẽ ra phải tụt mạnh”.

Theo UNEP, mục tiêu 44 tỷ tấn khí thải vào năm 2020 vẫn còn có cơ may có thể đạt được, nếu cộng đồng thế giới thống nhất có các biện pháp mạnh. Đó là việc tiết kiệm điện chiếu sáng (chiếm 15% tổng lượng điện và 5% khí thải GES) có thể cho phép giảm 2 tỷ tấn khí thải quy đổi, các sáng kiến năng lượng tái tạo cho phép giảm 1 đến 3 tỷ tấn GES hay cải cách việc trợ giá cho năng lượng hóa thạch, giúp giảm từ 0,4 đến 2 tỷ GES vào năm 2020…

Báo cáo nhận định, nông nghiệp là một lĩnh vực sản sinh ra đến 11% lượng khí GES, nhưng lại gần như không tham gia gì vào các dự án giảm khí thải toàn cầu. Báo cáo của UNEP nhấn mạnh đến một số thực hành căn bản, cho phép ngành nông nghiệp không chỉ giảm khí thải gây hiệu ứng nhà kính, mà còn cải thiện tính bền vững môi trường. Ba thực hành đó là: Làm nông nhưng không bừa đất, cải thiện việc quản lý nước và các dưỡng chất trong trồng lúa (để giảm khí methane và protoxide azote) và đưa các loài cây thân gỗ trồng xen với đồng ruộng để tăng khả năng hấp thu CO2 trong sinh khối và trong lòng đất.

BDN (tổng hợp)

 

RELATED ARTICLES

Tin mới